

油价周一连续第二个交易日下跌,因飓风Delta削弱后,美国生产商开始恢复生产,影响生产的挪威石油工人***也宣告结束。
亚盘时段,12月布伦特原油期货跌1.3%,至每桶42.30美元。11月美国原油期货跌1.3%,至每桶40.08美元。
这两项合约的近月合约价格上周均上涨逾9%,布伦特原油期货创6月以来最大周线涨幅,但上周五下跌,因挪威油企与工会管理人士达成薪资协议,结束了挪威油气产量有减少近25%之虞的***活动。
“在一些供应担忧的背景下,布伦特和美国原油都有很好的支撑,”CMC Markets驻悉尼的首席市场策略师Michael McCarthy表示。
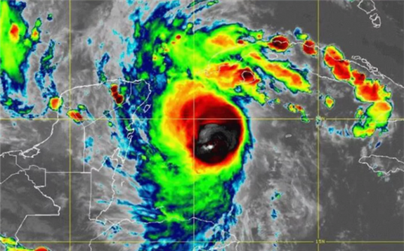
飓风Delta对墨西哥湾近海能源生产设施造成15年来最大冲击后,周日已减弱为热带气旋。工人们周日返回工作平台。
飓风Delta于上周五晚间登陆墨西哥湾沿岸。在路易斯安那州克里奥尔附近登陆后,该飓风于周六减弱为低压系统。周日早晨,它位于田纳西州诺克斯维尔南部,并以每小时16英里(25.7公里)的速度向东北移动。
周日,美国安全与环境执法局表示,截止美中部时间11:30,墨西哥湾沿岸的离岸原油生产平台中有91%仍处于关闭状态。此外,还有62.2%的天然气生产平台也处于关闭状态。截至周日,预计受飓风影响的能源产能达到880万桶/日的原油产能和83亿立方英尺/日的天然气产能。
墨西哥湾原油产能占全美的17%,天然气产能占全美的5%。
目前,墨西哥湾部分港口和水路仍处于关闭状态,不过为大型石油和液化天然气加工厂提供服务的萨宾帕斯(Sabine Pass)已经恢复运营。
据周日的一份声明,利比亚国家石油公司要求其最大油田Sharara开始恢复生产。一位知情人士表示,Sharara的日产量将在10天内达到近30万桶的产能。
这个北非国家恢复原油供应令OPEC更加头疼,因为该组织正在考虑是否继续实施1月份恢复更多产量的计划。随着许多国家新冠疫情的再次爆发,OPEC将在11月30日至12月的下一次政策会议上面临一个艰难的决定。
伊拉克原油部长贾巴尔预计今年油价或将维持在每桶41/42美元,2021年第一季度或将看涨至45美元,并且他也表示伊拉克作为OPEC的第二大原油生产国将继续遵守OPEC限产协议。
另外,有迹象表明,在2022年或2023年之前,需求可能无法恢复到病毒爆发前的水平,但全球最大的原油生产国——美国的钻井活动正开始回升。根据贝克休斯的数据,上周原油的活跃钻井平台增加了4个,达到193个,比过去三周增加了14个。
本文来源 网站,文章版权归原作者及原出处所有,内容为个人观点,并不代表本站赞同其观点和对其真实性负责,本站只提供参考并不构成任何投资及应用建议。我们已经尽可能的对作者和来源进行了通告,如有异议请及时联系我们,我们将根据著作权人的要求,立即更正或者删除有关内容。
本文内容为作者个人观点,OILUP仅提供信息发布平台